
חדשות

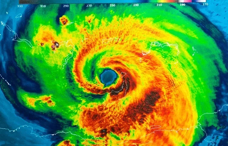
בשעות האחרונות ישנו עדכון על סופת "כרמל" המתקרבת אלינו ועתידה להגיע כבר היום (ב') בשעות הבוקר ולהמשך עד יום רביעי.
השנה זו הפעם הראשונה בה נקראת סופה בשם עברי. ההחלטה הגיעה לאחרונה בשיתוף פעולה בין השירות המטאורולוגי בישראל לזה שביוון וקפריסין , מדובר בפרוייקט שיכלול שמות ביוונית, קפריסאית ועברית לסופות העתידות. למה חשוב להכין עצמנו?

הסערה המדוברת תגיע לרוחות בעלות עוצמה של עד 80 קמ"ש שילוו בגשמים כמעט בלתי פוסקים. כמו בכל מזג אוויר כדאי להתכונן ברמה האישית, לנקוט במשנה זהירות ולהקפיד על הדברים הבאים:
חורף מוצלח, בטוח וחמים לכולנו.
סופת כרמל בדרך יום שני: סופת כרמל מה זה? כל הפרטים | השלג בחרמון: ’סערת הכרמל’ בדרך - ראשוני:

תיעוד ראשוני:
מתחילים את השנה עם זכויות של זיכוי הרבים וזוכים בשפע עצום - לחצו כאן >>>
מצאתם טעות בכתבה? כתבו לנו